先天性唇裂一般分为单侧唇裂和双侧唇裂。根据裂隙程度又分为唇红裂、不完全唇裂和完全性唇裂。
唇腭裂手术 | |||
效果持续 | ** | 手术部位 | 嘴唇 |
麻醉方式 | 局部 | 恢复时间 | 7-10天 |
治疗周期 | 1次 | 操作人员资质 | 医疗美容科或整形科执业医师 |
操作方式 | 手术 | 住院时间 | 无需住院 |
唇腭裂手术的价格:
私立医院:5000-6000元;公立医院:5000-6000元
唇腭裂手术的优势:
1、能有效改善嘴唇外观。
2、一次手术可长期保持手术效果。
唇腭裂手术适合的人群:
先天性唇裂畸形者
唇腭裂手术禁忌的人群:
身体未能适应外界环境、身体机能不足以支持手术的患儿。
唇腭裂手术术前注意事项:
1、受术者与医生应作全面深入的术前交谈,了解手术的大小、步骤、痛苦程度、恢复的快慢、可能达到的效果; 可能存在的风险;医生应了解患者面部的情况,手术的动机,对手术的期望是否符合实际。
2、身体健康状况的检查:除外可能存在的心、肺、肝、血液等内科疾病, 既往的手术史,用药史,过敏史等。
3、手术前一周停止饮酒,停用阿司匹林、维生素E及其他扩血管药物。
唇腭裂手术术后注意事项:
1、术后尽量减少活动,防止手术部位碰触。
2、术后七天之内严禁用手碰触伤口。并避免手术切口部位沾水。
3、保证手术部位清洁,防止感染。
4、应用抗生素3—5天预防感染。
5、禁食辛辣及刺激性食品。
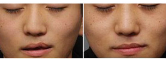
唇腭裂手术的案例:

