您好!欢迎进入艾美网整形预约平台|整形医院|整形医生
2020-02-14 14:04:55
美白导入,主要是将高浓度的美白药剂,运用正负离子交换作用,让细胞间隙扩大,提高药剂进入皮肤的通透性,并大量导引到皮肤深层。优点1、费用较低2、不影响正常工作和生活,可随做随走3、 治疗安全性高。缺点1、效果因人而异2、 只能做到温和的改善。禁忌人群治疗部位有发炎或罹患皮肤病者; 癫痫症、癌症、糖尿病、传染病患者; 装置心脏起搏器者,面部金属埋线者; 妊娠期女性。美白导入适合肤色暗沉、黑斑、肝斑、发...
2020-02-13 14:35:39
镭射净肤也是激光美肤,它是利用激光的“选择性作用原理”实现美肤效果,主要是通过一定波长的高能量光,选择性作用于问题皮肤处,照射皮肤表层,直达真皮深层,分解异常黑色素细胞颗粒,修复过度扩张毛细血管,抑制皮脂腺过度分泌、杀死多种炎症细菌,刺激皮肤弹力纤维,淡化色斑、祛痘除印、收细毛孔、改善肤质肤色、抚平细小皱纹达到综合美肤的目的。优点1、集美白、祛斑、祛痘、嫩肤、去除细小皱纹多种功能于一体2、 与“黑...
2020-02-13 14:06:20
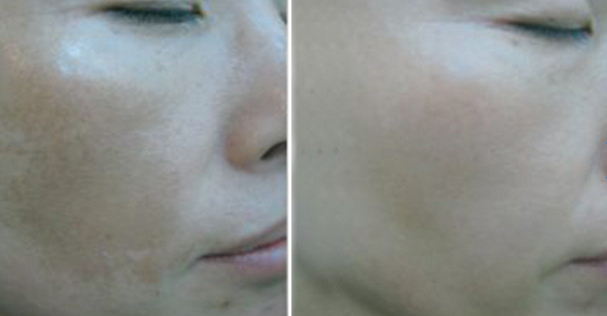
彩光嫩肤是一种先进的高科技美容项目,采用560-1200nm的强脉冲光,直接照射于皮肤表面,它可以穿透至皮肤深层,选择性作用于皮下色素或血管,分解色斑,闭合异常的红血丝,解除肌肤的各种瑕疵,同时还能刺激皮下胶原蛋白增生,使原有的胶原组织重组,从而令毛孔收缩,皱纹减少,使肌肤恢复弹性。优点1、能同时解决多种皮肤问题,有效祛除面部瑕疵、色素皱纹、斑点、红血丝等问题2、 治疗的同时全面改善肌肤质地,美白...
2020-02-13 13:47:23
干细胞是身体的起源细胞,是形成人体各组织、器官的始祖细胞,而且它可分化体内所有类型的细胞,例如:组织、器官、骨、软骨、肌腱、韧带等细胞,具有自我复制能力的多潜能细胞,在一定条件下,它可以分化成多种功能细胞,学界称为“万用细胞”;干细胞疗法,通常包括自体脂肪干细胞或干细胞培养基,用于面部抗衰,实现皮肤的新生年轻化。优点1、通过肌体内在的本源力量,从内到外的焕发机体功能,使衰老细胞的更新换代趋于正常,...
2020-02-12 14:30:47
菲洛嘉严格意义来说并不是“水光补水”,常说的水光补水只是单一含有玻尿酸的产品,而菲洛嘉除了含有玻尿酸外,产品里还含有人体皮肤所含的53+1种营养成分,为肌肤深层补水,同时能补充人体所需营养成分,可有效紧致毛孔,淡化皱纹,恢复弹性,提亮肤色。优点1、拥有近40年的临床应用经验2、 坚持使用,皮肤问题将不易出现,衰老速度会逐渐减慢3、 基本无恢复期,能在不知不觉中悄然变美缺点1、单次治疗效果有限,想达...
2020-02-12 14:23:48
嗨体去颈纹,通过超微渗透技术,突破皮肤壁垒,定位、定层、定量输送营养,提升纤维细胞胶原蛋白合成,提高胶原纤维合成能力,还原颈部皮肤弹性和光滑度,有效嫩肤补水、收缩毛孔、提亮肤色、紧致提升、修复颈纹。优点1、操作简单,安全自然; 直接作用于真皮层,可供给细胞营养,促进细胞新生2、 提升真皮层胶原蛋白产生能力,提升胶原纤维网状结构重建效率,可以更好的改善肤质3、注射后24小时,一般可见明显治疗效果。缺...
2020-02-12 14:12:24
少女针,其注射在真皮层,能持久性修复皱纹及不完美的缔结组织,并且可以被人体分解吸收和排出,安全性高。优点1、不仅有填充的功效,还会刺激胶原蛋白的增生,达到皮肤的紧实见2、效快,并且效果维持时间较长3、能在人体内水分和二氧化碳作用下,被分解吸收和排出,安全性高缺点1、目前国内中国药监局审批尚未给予认证,仍处于临床试验阶段2、 疗效非**性的,只能达到暂时性的面部紧致效果禁忌人群年龄18岁以下的未成年...
2020-02-11 14:02:13
皮秒激光是激光技术的一种,就是每个激光发射的脉冲持续时间(脉宽)达到皮秒级别的激光。皮秒激光是以更快的速度和强大的能量,更精细地粉碎黑色素,蜂巢透镜技术将每一束激光重新聚焦,让皮肤组织在高度能量集中下,广泛、密集地刺激纤维母细胞反应,生成胶原纤维和弹性纤维,从而让全脸的肤质得到嫩白、紧致、提升,还有修复疤痕,淡化皱纹的功效,成为全新肤净化利器。优点1、能更准确地找到色斑2、 作用时间短,治疗快,热...
2020-02-11 13:50:58
热拉提,是射频技术的升级版聚焦射频,突破了以往射频由表及里的加热模式,解决了其作用层次浅,不能加热筋膜层的问题;其聚焦射频能量,能越过表层皮肤,直达皮下SMAS筋膜层,有效激活真皮胶原蛋白重组与再生,达到提升松弛的面部线条以及紧肤等作用。优点1、单次治疗,就能快速看到松弛下垂的皮肤得到收紧上提 2、选择性加热皮肤层,不损伤和烫伤皮肤3、有效提拉SMAS筋膜全层,解决面部下垂问题4、 个性化抗衰,可...
2020-02-11 13:36:08
青春解码仪美肤,是利用青春解码仪器的雷达电波,准确定位术和无线电波的聚焦术,在对皮肤无干扰、反应的前提下,刺激皮肤细胞胶原蛋白快速新生,焕发胶原细胞的生命力,给皮肤充分供给营养和水,从而修复皱纹、锁住水分、改善肤质、肤色,从而解决皮肤多种问题。优点1、有效新生大量胶原蛋白,从而修复松弛多皱皮肤,达到紧肤祛皱的保养效果 2、治疗过程安全,敏感皮肤也不怕泛红3、 创伤小,无刺激,随做随走缺点1、多次治...