選單 關於慕顏 診所公告 慕顏理念 醫療團隊 診所環境介紹 兩岸三地合作 醫美整型 鼻雕塑 功能性鼻整形 眼整形 輪廓雕塑 唇形雕塑 美體雕塑 抽脂雕塑 微整形注射 美顏雷射 鼻科醫學 鼻中膈彎曲矯正 鼻部無線射頻手術 內鼻閥重建手術 案例分享 鼻雕塑 眼整形 輪廓雕塑 美體雕塑 抽脂雕塑 微整形注射 美顏雷射 醫師分享 媒體推薦 海外客戶 聯絡我們 線上預約 看診時間 交通資訊
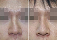
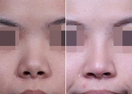
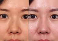
鼻雕塑 結構式隆鼻 全自體隆鼻 鼻整形修復 歪鼻矯正 朝天鼻矯正 駝峰鼻整形 鼻頭整形 鷹勾鼻、馬鞍鼻整形 鼻翼整形術 墊鼻溝槽,鼻基底手術(貴族手術) 眼整形 Deep eyes靚眼術 無痕眼袋手術 輪廓雕塑 正宗電波拉皮 音波拉提 微創拉提 臉部脂肪填充 下巴雕塑手術 美體雕塑 自體脂肪豐胸 果凍隆乳/水滴型果凍 抽脂雕塑 超能電漿抽脂 自體脂肪豐胸 黃金微米脂雕術 微整形注射 玻尿酸 Botox 肉毒桿菌 美顏雷射 雷射光療 杏仁酸煥膚 果酸煥膚 慕顏時尚美學診所