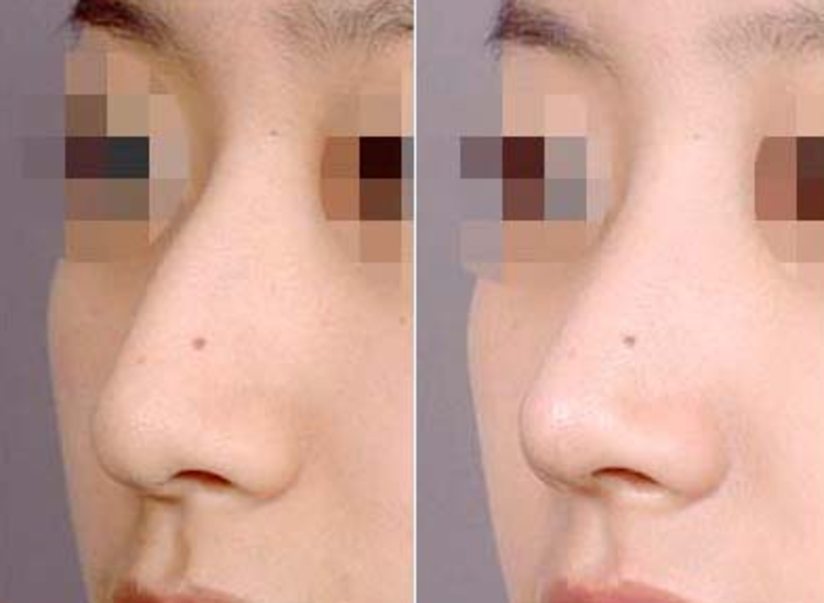
适应症:鹰钩鼻
主要是针对畸形的不同病因而进行的相关手术,其手术方法包括多余软骨及肌性结构的切除及修整,以达到矫正鹰钩鼻的目的。
1.切除过长的鼻翼软骨。
2.切除过长的鼻中隔软骨。
3.切断肥大增生的鼻中隔降肌。
4.修整切除过多的鼻尖部皮肤
5.缝合切口,碘仿纱布填塞鼻腔,加压包扎或行鼻背部外固定。


1.手术过程比较简单。
2.效果永久,一次手术即可。
创伤大、技术难度较高,术后恢复时间长。
1、女性避开例假期,避免术中或术后出血增多或者肿胀加重。
2、手术前两周内,请勿服用固醇激素和阿斯匹林类抗凝药物。
3、手术当日不要化妆,也不要戴装饰物等。
4、妊娠前期(三个月)或妊娠后期(三个月)暂缓手术。
5、男性需要提前戒烟一周。
6、常规身体检查——全身检查,各项化验检查,中、老年受术者必要时需测血压和做心电图。
1.术后72h内冰敷30~40min,早、中、晚各敷一次,可以改善肿胀和疼痛。
2.第2-3天去医院换药,或遵循医嘱换药。
3.伤口停止渗血后,拆线前,每日用3%的双氧水/碘伏/无菌盐水消毒伤口,再涂抹少量抗生素类药物。
4.术后3-5天服用消炎药(或遵医嘱),尽量不要低头、睡觉将枕头垫高,可以缓解肿胀。
可进行局部热敷,促进肿胀消退。
5.伤口停止渗血后,拆线前,每日用3%的双氧水/碘伏/无菌盐水消毒伤口,再涂抹少量抗生素类药物。
6.未经医生允许,不可随意摘掉鼻部保护/塑形器。
7.术后6-8天拆线,拆线前必须保持伤口干燥(拆线48h之后可沾水)、不能洗脸(伤口在鼻腔里除外)。
8.术后1个月内不得佩戴眼镜、不得挖鼻孔、不能挤压或用力揉鼻子。
9.1个月内不要化妆,防止疤痕增生。可使用疤克等祛疤药物。
10.术后3个月内,禁食辛辣刺激、海鲜食物,防止伤口增生。不做跳水、蹦极、马拉松等剧烈运动。